
With citizens concerned about growth and calling for the county to impose a moratorium on developments, a large development may be on the horizon for the city of Clarkesville.
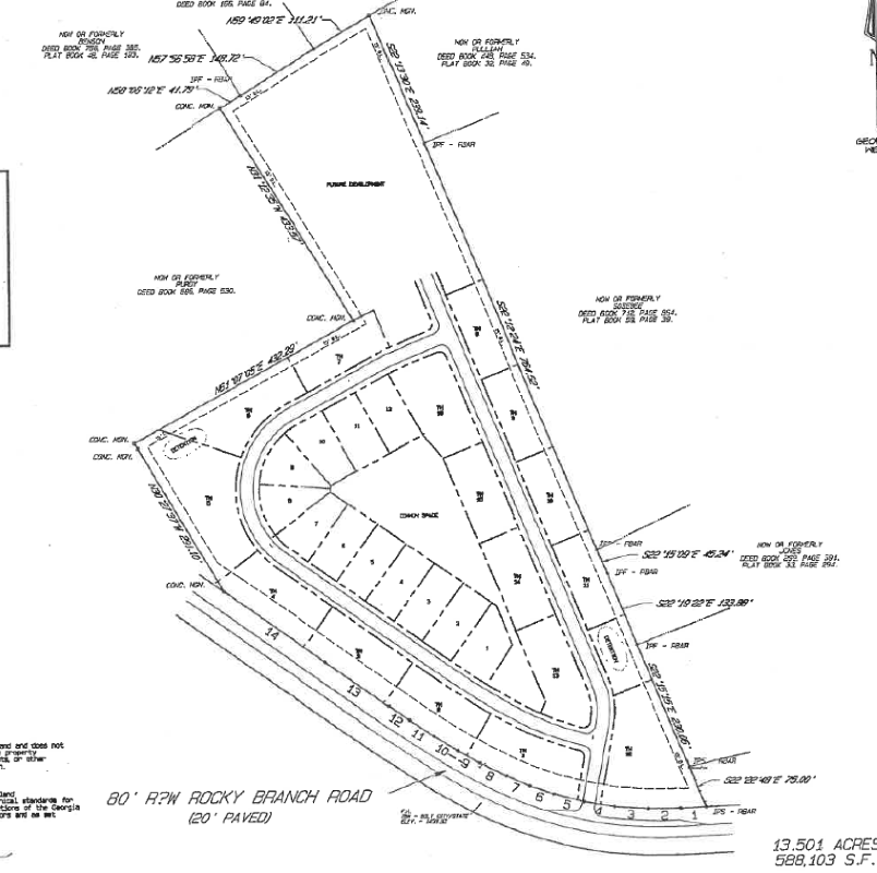
Clarkesville has received an annexation and zoning application that may bring 80 housing units to the city. Dr. Joey Arrencibia, the owner of the property, intends to develop 13.501 acres at 933 Rocky Branch Road for a mixed use development.
The development will contain 60 townhomes with two—and three-bedroom units and 20 single-family homes. Each unit will be approximately 2,100 square feet. The developer is requesting to connect to the city’s water and sewer infrastructure.
The property is currently in the unincorporated area of the county at the edge of Clarkesville’s city limits, necessitating the annexation. The county has the property zoned light intensity. The application requests that the city zone the property as Multiple-Family Residential R-2.

The homes will be designed for homeowners to utilize golf carts per the city’s golf cart ordinance and be a golf cart-friendly development. The homes will also be designed with the intent of golf carts being stored indoors.
The proposed development would be located on Rocky Branch Road across from Piedmont Automotive. It is adjacent to the Habitat for Humanity Restore facility and would be close to the intersection of Rocky Branch Road and Toccoa Highway (GA 17).

A copy of the applicant’s annexation and zoning map amendment request is available for public inspection in the Office of the Zoning Administrator at Clarkesville City Hall.
Public hearings
The city’s Planning Commission will hold a public hearing and consider the annexation and zoning application. The hearing will take place on Tuesday, August 13, at 5:30 p.m.
The Clarkesville City Council will hold a public hearing on Tuesday, September 9, at 6 p.m., to consider approving the annexation and zoning application.
Both public hearings will be held at Clarkesville City Hall at 123 North Laurel Drive in Clarkesville.





