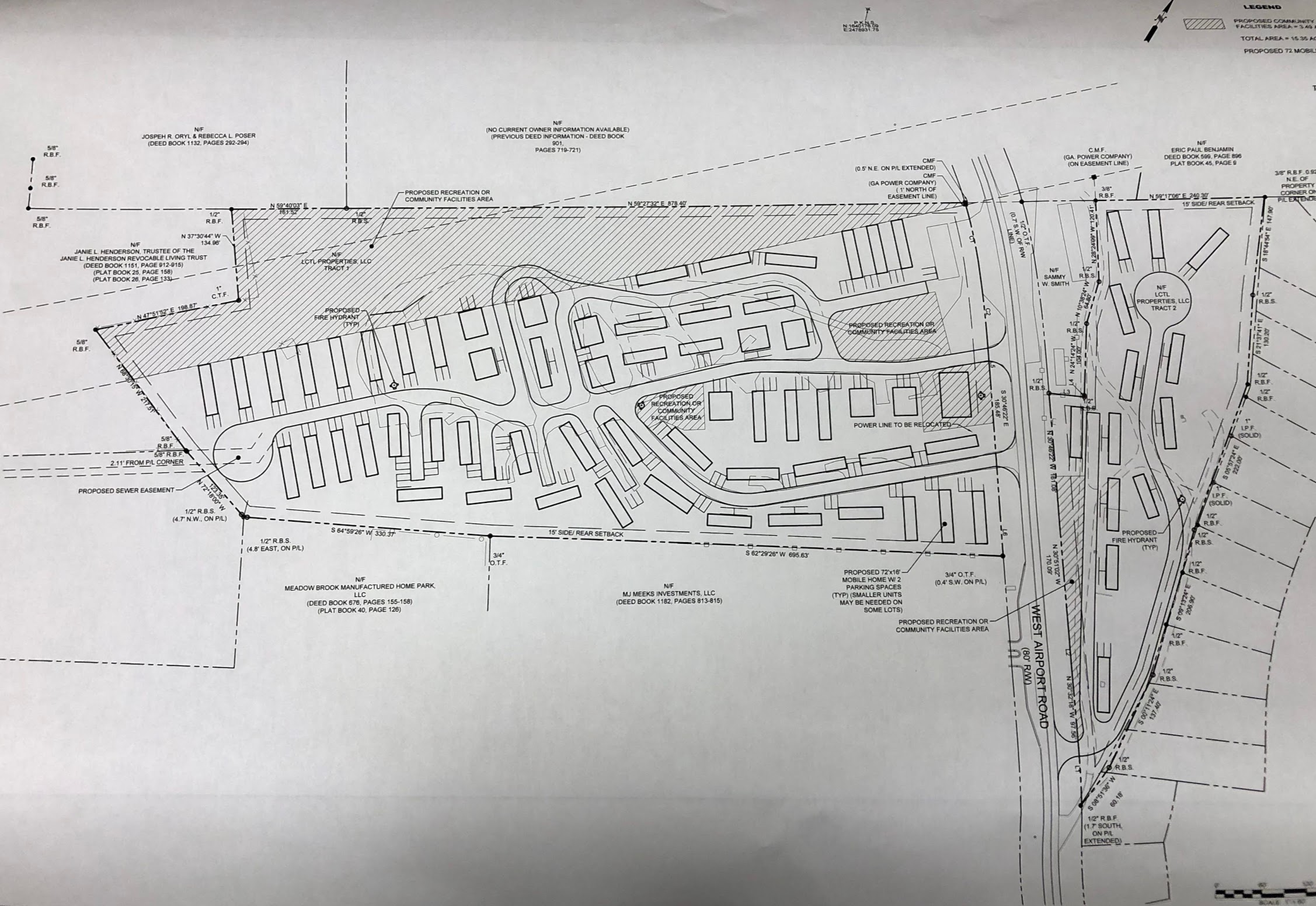
The Baldwin City Council has given a Gainesville developer the green light to build a new mobile home park in the city. During their meeting Monday night, council members unanimously approved the annexation and rezoning of 15.35 acres of land off of West Airport Road for the development.
The land will be developed by LCTL Properties, LLC. The city’s zoning ordinance for the development limits the property to 72 housing units with each unit accommodating off-street parking for at least two vehicles. “What we have here today is an ideal situation for everyone,” said Luke Lovell of LCTL Properties.

The city and Lovell have been revising this plan for months, and the final ordinance “reflects the conversation that we [the council and LCTL Properties] have been having since the summer,” says Councilwoman Stephanie Almagno.
The developer will begin work on this project within the next 180 days and will provide the city with monthly progress reports. “He [Lovell] will be moving pretty quickly at this point,” Baldwin Mayor Joe Elam says. “He’ll start to clean up the property and pave the roads, and he’ll also have to begin the process of getting the water and sewer systems in place.”
This development comes on the heels of Baldwin’s controversial plan to annex and rezone 145 acres of land off of Thompson and Willbanks Roads, which the Habersham County Commission and many citizens have adamantly opposed.

“I genuinely believe the City of Baldwin is on the up and up, it’s an area where a lot of growth is coming and will come […] over the next 20-to-30-year span, there is so much opportunity here,” Lovell said. “The utilities that you have and the infrastructure– and of course, these fees that I’ll be paying will help benefit that infrastructure in the future. [There is] a lot of opportunity here and I’m excited to be here and be part of this community.”
Lovell, the owner of Gainesville-based LCTL Properties, is a fairly new name in the real estate game, graduating from Wofford College in the class of 2020. Councilwoman Almagno expressed her enthusiasm to work with a “young developer” alongside the rest of the council who feel this deal will benefit the city and the developer.
“I think partnerships between cities and people like yourself are very important to build a city and to bring us up out of the stone age,” Councilwoman Alice Venter said.





